Ветеринарные врачи очень часто слышат о том, что кошка горбит спину при ходьбе. Конечно на первый взгляд симптом не должен вызывать опасения за здоровье питомца, но не всегда дело ограничивается только данным фактом. Нередко коты начинают себя странно вести, перестают ластиться как раньше, при этом не позволяют себя гладить, шипят, царапаются. В некоторых случаях поведение становится не активным, очень вялым. Питомец теряет возможность запрыгивать на диван, вместо этого он с трудом карабкается при помощи когтей. Все вышеперечисленные признаки являются сигналом для тревоги, который указывает на проблемы внутри организма животного. Для скорейшего восстановления требуется как можно раньше провести обследование, сделать УЗИ, сдать анализы. После получения данных исследования врач — ветеринар сможет поставить правильный диагноз и назначить адекватное лечение.
Основные причины сгорбленности кота
Если кошка горбит спину при ходьбе, то причиной могут различные факторы, среди которых выделяются:
- Травма позвоночника. Одно из самых тяжелых и опасных состояний для кота — это повреждения позвоночного столба. Как известно, позвоночник играет важную роль во время передвижения животного, выполнения трюков, прыжков, бега. При заболевании данного отдела, питомец начинает вести себя странно. Сначала меняется походка, теряется активность. Со временем нарушения в позвонках приводят к развитию сопутствующих болезней. Состояние может привести к тяжелым последствиям и даже летальному исходу. Поэтому в первую очередь следует в домашних условиях провести прощупывание вдоль всего позвоночника, в том числе верхних отделов хвоста. Заметная реакция на надавливание может указать на место травмы. Для постановки точного диагноза необходимо сделать рентген всего столба. Если травма незначительная, то врач назначает комплекс витаминов, седативные препараты для спокойного поведения. В тяжелых ситуациях рекомендуется оперативное лечение;
- Рахит. Заболевание очень часто развивается по причине неправильного питания. Баланс в питательных элементов должен быть на протяжении всей жизни. При нарушении питания, недостатка витаминов, минералов развиваются проблемы во всех отделах организма, в том числе позвоночнике. Нередко ветеринары устанавливают недостаток кальция. Для восстановления здоровья требуется срочно скорректировать рацион питания животного, а также ввести витаминные добавки. В тяжелых случаях требуется систематическое лечение целым комплексом препаратов;
- Характер. Не всегда кошка горбатит спину при ходьбе по причине какого — либо заболевания. Бывают ситуации, когда питомец просто таким образом проявляет свой характер. Это может быть просто вредной привычкой. Как правило, на приеме у врача коты не проявляют таких симптомов, у них не обнаруживаются проблемы с внутренними органами. Для исправления ситуации рекомендуется пропить курсом седативных препаратов. Возможно изгибание спины связано с нервными расстройствами;
- Стресс или испуг. Коты выгибают спину по причине испуга и недовольства, а также в стрессовых ситуациях. Возникают по многим причинам. Это может быть длительное отсутствие хозяев вне дома. Когда питомца оставляют на присмотр у чужих людей в чуждой для него обстановке, то после приезда хозяев коты продолжают выгибать спину и проявлять признаки агрессии.
Сопутствующие симптомы
Кошка горбатится при ходьбе по различным причинам, и каждая из них проявляется рядом сопутствующих симптомов:
- вялое поведение;
- отказ от еды и воды;
- невозможность запрыгивать на кресло;
- шипение, царапанье;
- слишком твердый стул;
- кот стал спать только на спине;
- ходит с опущенным хвостом.
Все вышеперечисленные симптомы могут указывать на проблемы с пищеварительной системой. Возможно причина кроется в повышенной кислотности желудка. В результате такой патологии вся жидкость в организме всасывается желудком. В итоге каловые массы сбиваются в твердую массу. У животного начинаются колики и боли в кишечнике. Для облегчения состояния питомец выгибает спину. Уточнить диагноз может врач после пальпации живота.
Методы лечения
Лечение напрямую зависит от причины недуга. Если проблемы с позвоночником по причине рахита, то назначаются препараты кальция. В случае застоя в кишечнике прописывается комплекс лекарств улучшающих работу пищеварительной системы. Назначаются Альмагель, Омез, Ветом. В тяжелых случаях может быть показан гормональный препарат Метронидазол. В качестве инъекций рекомендуется Синулокс, Баралгин. Очень важно сдать анализы на биохимию. Для поддержки печени дается Гепатовет.
Правильно поставленный диагноз позволит назначить адекватное лечение и быстро восстановиться кошке.

Источник
Здравствуйте!
Помогите, пожалуйста, разобраться с нашей проблемой.
Крик души, уже не знаем куда везти котика, очень за него переживаем.
У нас вислоухий кот Моби, почти 2 года ему. Котенка брали у заводчика, документы есть. ОТЕЦ порода Британская, МАТЬ порода Скотиш-фолд, по крайней мере так написано в рег. карточке.
Кратко: кот при ходьбе стал сильно горбатиться, выгибать спину, потерял активность, плохо запрыгивает на стул/диван (только всорабкивается).
Если кто-то найдет время вникнуть во всю ситуацию, то вот так много:
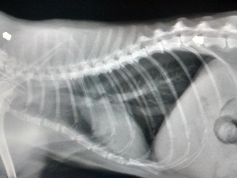
Три месяца назад уезжали с мужем отдыхать на 2 недели, оставляли кота дома и просили знакомых приходить за ним ухаживать. Кот вообще очень боится всех посторонних людей, всегда как кто-то приходит прячется под диван и не выходит. Особенно почему-то боится детей, встает дыбом и шипит на них, такая реакция только на детей (у нас детей нет). Понимали, что сильно будет переживать разлуку, но с собой его взять никак не могли. Приходила ухаживать девушка, и как мы поняли по забытой у нас дома игрушке иногда с ребенком. По возвращению кот был не такой как обычно, более пугливый, вялый, не игривый, и ходил сгорбленно, изгибая спину при ходьбе как будто бы он только что проснулся, но он ходил так постоянно, как будто напряженно. Аппетит был обычный и туалет тоже. Еще он теперь не может нормально запрыгнуть на стул/диван, он теперь только вскарабкивается на них. Сразу всех недугов мы не заметили и думали что кот просто отвык от нас, привыкнет и будет передвигаться как обычно. Но нет, так и продолжалось. Мы подумали, что ребенок мог его за хвост пытаться вытащить из-по дивана и нарушил ему позвоночник, или ударил его чем-то пока мама ребенка убирала за котом. Повезли к ветеринару, сделали рентген, кости все в порядки, позвоночник цел, задние лапы тоже (при прощупывании позвоночник не болезнен). На рентгене увидели много застоялого кала по всему кишечнику, решили что из за этого он и ходит сгорбленно, поджимая живот. Врач сказал, что это у него скорее всего повышена кислотность желудка, поэтому вся влага из кала всасывается желудком и кал становится очень плотным и плохо выходит. Хотя у него всегда стул был одной и той же плотности, мы думали это нормально, оказалось нет. Подавали ему лекарства: алмагель, омез, метронидозол, ветом. Стул стал мягче, но кот оставался в том же сгорбленном состоянии. Затем кололи ему баралгин и синулокс, вроде кот стал чуть более активен. Затем взяли кровь на общий анализ и биохимию, все показало в норме, только показатель печени был немного отклонен от нормы. Подавали для печени ему гепатовед.
По итогу, прошло почти три месяца как мы вернулись с отдыха, а кот все не активен как раньше, ходит сильно сутулясь, не может легко запрыгнуть на стул. Причем спать он всегда любил на спине и сейчас так спит, вытягивая весь позвоночник. Значит проблема не в позвоночнике а во внутренних органах?
Может кто поможет разобраться в чем причина такого состояния кота? А то уже и не знаем куда везти его. Он очень боится поездок, сердце готово выпрыгнуть из груди, врачи даже удивляются как он весь трясется. Последний раз ездили к врачу месяц назад, а кот до сих пор помнит. Каждый раз как мы в коридоре собираемся уходить, прячется от нас под тот же диван, что бы его никуда не возили больше. Получается, что рентгеном облучали, лекарствами пичкали, кровь брали-мучали, уколы кололи, кот запуганный-замученный, а состояние получается не улучшилось, диагноза правильного так и нет. Вот и не знаем что делать:( Очень переживаем за нашего котика. Понимаем, что само собой уже не наладиться его состояние, что проблема все таки есть.
Может кто поможет с определением возможного диагноза или посоветует хорошего специалиста в МО-Москве?
Прикладываю фото кота со средне-сгорбленной спиной при хотьбе, бывает горбатится сильнее.
Заранее спасибо всем откликнувшимся!
13 ноября 2012, 20:21
Источник
Для многих людей слово «кошка» является синонимом красоты и грациозности. И это вполне оправдано. Тем страшнее наблюдать за котом, который не может встать или ходит странной, «деревянной» походной, часто и хрипло мяукающим от боли. Виной такого поведения могут быть разнообразные болезни позвоночника у кошек. Некоторые их разновидности будут нами рассмотрены на страницах этой статьи. Сразу отметим, что в рамках данного материала будут рассмотрены не только поражения непосредственно позвонков, но всего позвоночника (то есть межпозвоночных дисков, спинного мозга и т.д.).
Миелопатии
Миелопатия – собирательное понятие. Сюда относятся практически все болезни, так или иначе приводящие к морфофункциональным нарушениям в спинном мозге. В зависимости от локализации поражения и запущенности случая, признаки могут варьировать от легкого пареза или болевых ощущений до полного паралича. Парез или паралич могут поразить все четыре лапы (тетраплегия), задние конечности (параплегия), передние конечности (гемиплегия), или всего одну конечность (моноплегия). Как проявляются миелопатии различных этиологий? Клинические признаки включают:
- Нескоординированные движения, атаксия.
- Снижение мышечной массы, пусть даже питается животное нормально.
- Понижение тонуса мускулатуры.
- Напротив, в иных случаях можно наблюдать постоянное мышечное напряжение (гипертонус).
- Проблемы с дефекацией и мочеиспусканием (непроизвольное выделение кала и мочи).
Рассмотрим основные предрасполагающие факторы, которые чаще всего способствуют развитию миелопатии. Во-первых, это неблагоприятная наследственность. Сегодня практически все ветеринары считают, что некоторые породы (персы, сиамские кошки, их помеси) имеют много дефектных генов, которые особенно ярко проявляются в отдельных семействах. Таких животных настоятельно рекомендуется стерилизовать и полностью исключать из воспроизводства.
Очень опасны ишемические поражения спинного мозга. Как и в прошлом случае, огромное значение имеет неблагоприятная наследственность. Второй причиной проблем с кровообращением являются бактериальные и вирусные инфекции, а также неконтролируемое применение некоторых лекарственных препаратов, чем грешат многие заводчики. Наиболее опасными заболеваниями являются: вирусный лейкоз кошек (FeLV) и криптококкоз, вызванный возбудителями вида Cryptococcus neoformans. Последний очень опасен еще и тем, что поражает не только спинной, но и головной мозг. Можно выделить еще две группы причин:
- Рак. Особенно часто у котов встречается лимфома, менингиомы, гистиоцитарные опухоли. При их обнаружении прогноз варьируется от сомнительного до неблагоприятного.
- Травматические миелопатии. Как правило, развиваются на фоне кусаных и колотых ран, затрагивающих область позвоночного столба, переломов и дегенеративных поражений межпозвоночных дисков.
Для точной диагностики желательно провести компьютерную томографию, MRI (магнитно-резонансную томографию), а также (или хотя бы) рентгенографию позвоночного столба. Обязательно берется проба спинального ликвора (посредством пункции), так как анализ этой жидкости с высокой степенью достоверности позволяет выявлять различные виды воспалительных и инфекционных патологий.
Курс лечения будет зависеть от первопричины миелопатии. Так, при переломах и опухолях помочь может только операция, в случае инфекционных патологий назначаются антибиотики и прочие противомикробные препараты. Но не менее важен восстановительный период, который зачастую определяет, как полно восстановятся двигательные функции кота, и не будет ли патологий в его поведении.
Так как у многих кошек с поражениями спинного мозга имеются серьезные проблемы с мочеиспусканием и дефекацией, в обязанности хозяина входит массаж области мочевого пузыря и прямой кишки с последующим удалением экскрементов и мытьем загрязненных мест. Если кошка неспособна сидеть, ее нужно переворачивать не реже одного раза в шесть часов с одновременным проведением массажа. Это делается для предотвращения образования пролежней.
Физиотерапия также очень важна для надежного предотвращения дегенеративных процессов в мышцах. В любом случае, составлять план восстановительных методик должен ветеринар. Какие еще существуют заболевания позвоночника у кошек?
Грыжа межпозвоночных дисков
Пожалуй, это одно из наиболее неприятных и серьезных заболеваний позвоночника, с которым приходится сталкиваться специалистам в своей практике. Что такое межпозвоночный диск? Это такая «амортизационная подушка», расположенная между позвонками. Каждый диск состоит из наружной, грубой и волокнистой, части, а также нежного центрального ядра, которое по консистенции отдаленно напоминает зубную пасту.
Межпозвоночные диски соединяют позвоночник в единое целое и позволяют ему быть гибким. Кроме того, они же амортизируют механические нагрузки, которым постоянно подвергается позвоночный столб. В случае, когда внешняя оболочка диска по каким-то причинам истончается, внутреннее его содержимое начинает выпячиваться в спинномозговой канал, пережимая спинной мозг или, в лучшем случае, отдельные его корешки. Это чрезвычайно опасный процесс, так как кот в любой момент может остаться полностью парализованным без особых шансов на исправление ситуации.
У кошек, в отличие от собак, признаки дегенеративного поражения межпозвоночных дисков развиваются зачастую очень быстро и непредсказуемо. Сегодня ваш кот жизнерадостно носится по дому, а завтра – лежит, не в силах пошевелить ни задними лапами, ни даже хвостом. Как еще может проявляться эта патология?
У кошки с межпозвоночной дисковой дегенерацией, приведшей к образованию грыжи, отсутствует желание играть и вообще двигаться, у нее снижен аппетит, время от времени животное хрипло мяукает от боли, может наблюдаться агрессия в отношении других питомцев или даже человека. При ходьбе больная кошка часто спотыкается, иногда может наблюдаться «деревянная» походка.
Когда поражены диски шейного отдела позвоночника, у животного могут также появиться симптомы ригидности затылочных мышц, что выражается в неожиданных мышечных спазмах, приводящих к самопроизвольному подергиванию головой. Кроме того, в этом случае страдают передние конечности. Кошка приобретает привычку очень низко держать голову, изредка развивается тетраплегия.
У кота с дегенерацией межпозвоночных дисков и образованием грыжи пояснично-грудного или поясничного отдела позвоночника, помимо всех вышеперечисленных симптомов, постоянно выгнута спина, как если бы он осуществлял дефекацию. Слабость в задних конечностях зачастую проявляется с первых дней патологии, постепенно или внезапно прогрессируя до полного паралича задней части тела. Но еще быстрее кошка начнет непроизвольно мочиться и осуществлять дефекацию, так как ее спинномозговые центры уже не смогут контролировать эти процессы.
В наиболее запущенных (и практически безнадежных) случаях у животного пропадает тактильная чувствительность вниз от пораженного места: так, в лапы можно спокойно втыкать иголку на всю длину, но кот ничего не почувствует.
Терапевтические методики
При появлении любого из вышеописанных симптомов нужно немедленно показать вашего питомца ветеринарному специалисту. Больному коту нужно предоставить полный покой, особенно тщательно его изолируют от маленьких детей. Не нужно играть и дразнить кошку, так как любое резкое движение чревато внезапным параличом. На первых порах, если симптоматика не слишком угрожающая, практикуется медикаментозное лечение, цель которого заключается в купировании воспалительного процесса. Но в большинстве случаев так удается лишь сгладить основные признаки. О полном излечении без хирургического вмешательства говорить не приходится.
Очень желательно назначать заболевшему питомцу седативные препараты, которые естественным образом ограничат активность животного и исключат вероятность его резких движений. Медикаментозное подавление боли рекомендуется только для тех кошек, которые чувствуют боль и сохраняют тактильные ощущения. В иных случаях назначать обезболивающие препараты не рекомендуется, так как они могут смазать картину течения болезни.
В ветеринарной практике было немало случаев, когда коты, после четырех-шести недель полного покоя, лечившиеся нестероидными противовоспалительными препаратами, полностью восстанавливались. Однако немало при этом бывает и рецидивов, особенно в случае животных, уже достигших возраста пяти или семи лет.
Если на всем протяжении медикаментозного лечения существенных улучшений не наблюдается, или вообще отмечается выраженная тенденция к ухудшению течения болезни, настоятельно рекомендуется проведение хирургической операции. Чем скорее это будет сделано, тем больше шансов на полное выздоровление животного.
В чем вообще заключается суть хирургического вмешательства при этой патологии? В большинстве случаев используется так называемая «хирургическая декомпрессия». Это метод, при котором «вывалившуюся» часть спинного диска частично иссекают, восстанавливая внешнюю оболочку органа. Декомпрессия – единственный действенный способ лечения, когда наблюдается паралич или пара/тетраплегия.
Важно! Если у кота внезапно пропала тактильная чувствительность, операция в идеале должна быть проведена в течение двух часов, так как по истечение этого срока нервные ткани спинного мозга начинают отмирать. Когда с момента потери чувствительности прошло более двух суток, рекомендуется усыпление, так как шанс на успех операции – менее 4%.
Источник
Кошки очень стойкие создания, и хозяева могут легко пропустить признаки боли или дискомфорта, который испытывает кошка. Для выживания животного-одиночки очень важно не показывать признаков физической слабости, поэтому кошки, обычно, выглядят абсолютно здоровыми до наступления тяжелых стадий заболевания.
Способность быстро определить, насколько сильна боль и где она локализована, помогает в диагностике заболеваний и облегчении страданий больного. Ваша кошка не может разговаривать с вами и устно описать местоположение и уровень боли. Ваша кошка не может даже указать на место на своем теле, как маленький ребенок. Поэтому очень важно обращать внимание на физические признаки боли у кошки, а также на изменения в поведении, которые могут быть признаком болевых ощущений. Если вы подозреваете, что ваша кошка испытывает боль, пожалуйста, обратитесь к ветеринару!
Вот 10 признаков того, что вашей кошке может быть больно. Это не всеобъемлющий список, а просто способ научить вас определять отклонения в поведении, вызванные болью.
1. Кошка стала больше мяукать, или мяуканье стало необычным.
Обычно, почти все кошки мяукают в той или иной ситуации. Но тут вы можете заметить, что мяуканье стало намного более частым, интенсивным, изменился тон — стал горловым, низким или наоборот похожим на крик.
2. Интенсивное вылизывание одной из частей тела.
Если вы заметите, что ваша кошка фокусирует вылизывание на определенной области тела, вылизывается до лысин. Это может оказаться попыткой кошки облегчить боль в этом месте.
3. Изменение внешнего вида глаз.
Вы можете увидеть появление третьего века на глазах у кошки. Это тонкая пленка, которая может полностью закрывать глаза или быть частично видимой. Испытывающая боль кошка может начать чаще щуриться или держать глаза полностью закрытыми.
4. Нелюдимость, попытка спрятаться.
Если вы заметите, что ваша кошка становится более замкнутой или больше прячется, это может быть признаком боли.
5. Одышка или дыхание высунув язык.
Это не нормальный способ дыхания для кошки, поэтому не игнорируйте этот признак. После интенсивной физической нагрузки этот признак в пределах нормы, но не в покое!
6. Раздражительность, агрессия или общее изменение настроения
Боль может вызывать как общую раздражительность, так и полноценную наступательную агрессию. Агрессия может проявляться, как в ответ на прикосновения, так и, на первый взгляд, на пустом месте.
7. Отсутствие аппетита
Этот признак будет легче заметить, если вы кормите свою кошку по режиму, а не в свободном доступе. Это только одна из причин, по которой я всегда рекомендую кормить кошек именно по режиму.
8.Изменение подвижности и привычных поз
Ваш кот, обычно, активный и игривый, перестает гоняться за любимой игрушкой и запрыгивать на вершину комплекса, где, до этого, проводил почти все время. Это может быть признаками болевого синдрома. Сгорбленная поза, хромота, смещенная поза (когда вес смещается на одну сторону) — также являются признаками боли.
9.Изменения в использовании лотка
Это может быть любое изменение привычек, связанных с физиологическими отправлениями, включая, более частое, чем обычно, использование лотка или отказ от его использования. Кошкам свойственно связывать сам лоток с болью, которую они испытывают при попытке пописать или покакать.
Взгляните на экскременты, прежде чем просто собрать их лопаткой и выкинуть в унитаз. Они выглядят по-другому? На них слизь? Цвет или запах кажутся немного другими? Признаки запора? Диарея? Изменения кондиции мочи и кала вашей кошки могут указывать на заболевание, а также на боль.
10. Кошка стала более ласковой
Легко просто сидеть сложа руки и наслаждаться внезапным желанием неласковой кошки постоянно находиться у вас на коленях, но это может означать, что ваша кошка ищет утешения от боли.
Благополучие вашей кошки полностью зависит от вас!
Многие признаки боли могут быть незаметными и их легко пропустить. Например, если вы не будете регулярно очищать лоток, то вы пропустите тот факт, что ваша кошка не мочилась и не испражнялась несколько дней. Если ваша, обычно, дружелюбная кошка становится вспыльчивой, не списывайте это на плохое настроение, насторожитесь! Внезапная или нехарактерная агрессия является одним из самых частых признаков боли. Не думайте, что кошка вдруг свихнулась! Бегите к ветеринару!
Кошки – существа живущие рутинно, и изменения в их поведении могут быть признаком того, что что-то не так с медицинской точки зрения. Не нужно ждать у моря погоды и разрешения ситуации без вашей помощи, если это касается резких изменений в поведении кошки. Возможно, что ваша кошка сейчас испытывает мучительную боль и пытается это до вас донести, писая мимо лотка, рыча на протянутую руку или сидя «обиженной» под кроватью второй день.
Подписывайтесь на мой канал и узнавайте много нового о поведении кошек и их здоровье!
Источник





